Listed by Leslie Zohrer of Woolverton Realty
Build 3 miles away from South Padre Island with the best beach in Texas! Watch SpaceX launches and weekend fireworks! The historical Yacht Club Hotel site is available with a total of 5 lots for single and two-family development. Excellent location known as “The Hill” is in walking distance to the library, restaurants, banks, gyms, post office, bus stop and the downtown Lighthouse Square. Recent underground AEP electric lines and sewer lines.

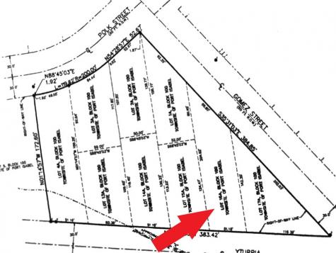
    Property Details of Yturria Street, Unit 16A

    Property Details

    Exterior Features

    Community

    Map Location

    Based on information submitted to South Padre as of January 20, 2026 7:01 PM EST. All data is deemed reliable but is not guaranteed accurate by the MLS. All information should be independently reviewed and verified for accuracy. IDX information is provided exclusively for consumers’ personal, noncommercial use and may not be used for any purpose other than to identify prospective properties consumers may be interested in purchasing.

    Hi there! How can we help you?

    Contact us using the form below or give us a call.

    Send Us A Message:

    I agree to receive marketing and customer service calls and text messages from Phyllis Browning Company Msg/data rates may apply. Msg frequency varies. Reply STOP to unsubscribe. Privacy Policy & Terms.

    Do not fill in this field:

    This site is protected by reCAPTCHA and the Google Privacy Policy and Terms of Service apply.